[会社概要]

株式会社倉敷中央不動産

〒7100846
岡山県倉敷市上富井494-6
086-454-7007
岡山県知事(2)第5648号
営業時間 9:00~18:00

物件情報

倉敷市新田 市街化調整区域内 971坪 事業用土地

【 収益・事業用 】2号線の1本南。医療施設・福祉施設向き土地です。

最寄駅所在地面積築年月価格

JR山陽本線 倉敷駅 徒歩 40分 ゆめタウン倉敷前バス停 徒歩5分

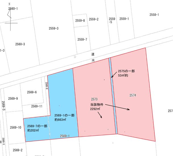
倉敷市新田2573

土地/3210㎡

8,739 万円

最寄りのコンビニまで徒歩10分、最寄りのスーパーまで徒歩4分。倉敷市役所まで徒歩10分。

2号線への出入りもスムーズ。笹沖にも近い。調整区域なので用途が限られています(詳しくは当社までお問合せ下さい)。 開発許可や造成工事のお手伝いも致します。

物件写真・間取り

現地写真
公図
航空写真

物件概要

物件名

倉敷市新田 市街化調整区域内 971坪 事業用土地

交通機関

JR山陽本線 倉敷駅 徒歩 40分 ゆめタウン倉敷前バス停 徒歩5分

所在地

倉敷市新田2573

価格

8,739 万円

土地権利 所有権
土地面積

3210㎡ / 971坪

築年月
都市計画 調整区域
用途地域 無指定
建ぺい率

60%

容積率

200%

接道
一方
方向:北側 道路幅員:5.6m
地目
引渡し 相談 稲刈り後
設備上水道・下水道・プロパンガス・電気
備考現状有姿渡し(田)・公簿取引です。第2種農地です。
土地間の水路部も入っての売買です。大きな土地になります。
市街化調整区域ですので、用途によっての建物制限があります。
造成するのに「開発許可・上下水道引込・橋梁掛け・造成工事etc.」が必須です。
それらのお手伝いも致します。
当社、買主様側の仲介業者となります。
取引態様 一般
物件番号3

物件地図人型アイコンを地図上にドラッグするとストリートビューで表示されます。

倉敷市新田 市街化調整区域内 971坪 事業用土地

倉敷市新田2573

地図を戻す

資料請求・お問い合わせ 周辺環境や諸条件など、少しのことでもお気軽にご相談ください 

物件名 【3】 倉敷市新田 市街化調整区域内 971坪 事業用土地
お問い合わせ内容
お名前
電話番号
メールアドレス
確認のため同じアドレスをご入力ください。
備考欄ご希望の連絡方法、見学希望日、希望条件、質問などがございましたら、ご記入ください