[会社概要]

株式会社倉敷中央不動産

〒7100846
岡山県倉敷市上富井494-6
086-454-7007
岡山県知事(2)第5648号
営業時間 9:00~18:00

物件情報

倉敷市田ノ上 7月末完成予定 新築平屋建て

【 新築一戸建て 】「葡萄園」の南。100坪以上の敷地に32坪の平屋建て新築。4LDKです。

最寄駅所在地面積築年月価格間取り

JR山陽本線 倉敷駅 徒歩 26分 倉敷消防署前バス停 徒歩4分

倉敷市田ノ上1137-3

土地/340.29㎡

建物/105.58㎡

2025年07月 3,980 万円 4 LDK

老松小学校・倉敷西中学校区。

最寄りのコンビニまで徒歩9分、最寄りのスーパーまで徒歩8分、最寄りのドラックストアまで徒歩3分。倉敷成人病センターまで徒歩8分。

土地が広いので建築可能な4LDKの平屋

網戸・照明・カーテン等は別途です。

 

物件写真・間取り

現地CG(完成イメージ)
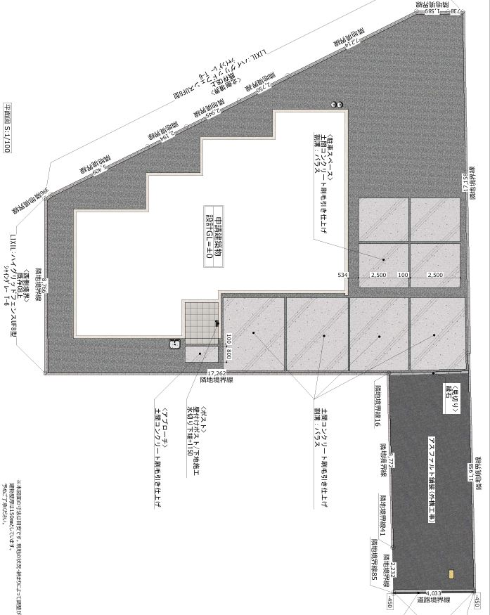
平面図
配置図

物件概要

物件名

倉敷市田ノ上 7月末完成予定 新築平屋建て

交通機関

JR山陽本線 倉敷駅 徒歩 26分 倉敷消防署前バス停 徒歩4分

所在地

倉敷市田ノ上1137-3

価格

3,980 万円

間取り 4 LDK
間取り詳細

LDK20.1帖 和室4.5帖 寝室7帖 W.I.C. 洋間5.2帖 洋間5.7帖 

土地権利 所有権
建築確認番号

第R07SHC102094号

土地面積

340.29㎡ / 102坪

建物面積

105.58㎡ / 31坪

建物構造 木造
築年月

2025年07月

都市計画 市街化区域
用途地域 第一種住居地域
建ぺい率

60%

容積率

160%

駐車場
接道
一方
方向:南側 道路幅員:4m 私道
地目 宅地
現況 建築中
引渡し 期日指定 2025年8月中~
設備公営水道・公共下水・電気・プロパンガス
備考敷地は「第一種住居地域と第二種住居地域」
現地までの道中は実際足を運んでご確認下さい。
取引態様 一般
物件番号239

物件地図人型アイコンを地図上にドラッグするとストリートビューで表示されます。

倉敷市田ノ上 7月末完成予定 新築平屋建て

倉敷市田ノ上1137-3

地図を戻す

資料請求・お問い合わせ 周辺環境や諸条件など、少しのことでもお気軽にご相談ください 

物件名 【239】 倉敷市田ノ上 7月末完成予定 新築平屋建て
お問い合わせ内容
お名前
電話番号
メールアドレス
確認のため同じアドレスをご入力ください。
備考欄ご希望の連絡方法、見学希望日、希望条件、質問などがございましたら、ご記入ください