物件情報
[【9/10値下げしました!】岡山市中区新京橋三丁目 114坪 建築条件無土地
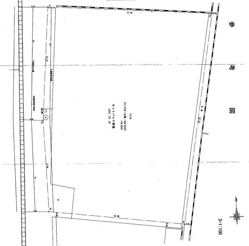
【 土地 】閑静な住宅街。岡山中心部へもすぐ。利便性と住環境の整った人気の高い土地です。
| 最寄駅 | 所在地 | 面積 | 築年月 | 価格 |
|---|---|---|---|---|
岡山電気軌道東山線 門田屋敷駅 徒歩 8分 | 岡山市中区新京橋三丁目17 | 土地/377.67㎡ | 3,400 万円 |
旭東小学校・東山中学校区。
最寄りのコンビニまで徒歩4分。協立病院まで徒歩6分。岡山県庁まで車で2分。
現状有姿渡し(水道メーター・下水桝現位置のまま)。
建築時はセットバックが必要です。
物件写真・間取り
物件概要
| 物件名 | [【9/10値下げしました!】岡山市中区新京橋三丁目 114坪 建築条件無土地 |
|---|
| 交通機関 | 岡山電気軌道東山線 門田屋敷駅 徒歩 8分 バス バス 4分 門田屋敷四丁目バス停 |
|---|
| 所在地 | 岡山市中区新京橋三丁目17 |
|---|
| 価格 | 3,400 万円 |
|---|
| 土地権利 | 所有権 |
|---|
| 土地面積 | 377.67㎡ / 114坪 |
|---|
| 築年月 |
|---|
| 都市計画 | 市街化区域 |
|---|
| 用途地域 | 近隣商業地域 |
|---|
| 建ぺい率 | 80% |
|---|
| 容積率 | 200% |
|---|
| 駐車場 | 有 |
|---|
| その他制限 | 準防火地域 |
|---|
| 接道 |
|
|---|
| 地目 | 宅地 |
|---|
| 現況 | 更地 |
|---|
| 引渡し | 相談 |
|---|
| 設備 | 公営水道・公共下水・電気・プロパンガス |
|---|
| 備考 | セットバック要 準防火地域により建築の制限有 |
|---|
| 取引態様 | 専属 |
|---|
| 物件番号 | 3 |
|---|
















